車參聖美容整形外科

整形停看聽14-隆鼻的另一種選擇:自體脂肪隆鼻

大眾的印象中對於隆鼻的處理方式不是正規放人工植入物或自體軟骨之外就是注射外來物,其實還有另一項選擇可以考慮,就是自體脂肪隆鼻。

其實自體脂肪隆鼻可以與外來物注射如微晶瓷,玻尿酸等歸在同一類微整形種類之中,因為鼻部不需有切口,僅憑藉注射方式來達到鼻子變高變挺的美容效果。但優點是有五成左右的存活率,存活之後的脂肪可永久存在,不需再重複施打。

有的人會有疑惑是否鼻部注射脂肪之後,會不成形且軟軟的。這層顧慮是多慮的,因為鼻部皮下原本就有皮下脂肪層,所以從這一層次來看,脂肪原本就是構成鼻部組織及外觀的一部分。天生就有人脂肪較厚也有人脂肪較薄,而且脂肪注射隆鼻是微量的,很自然的,所以觸感上就如同天生的一般。另外自體組織是不會排斥的,所以根本不會有移位的問題。

當然自體脂肪隆鼻也有其限制,也就是自體脂肪移植存活率非百分之百,所以有可能需要一次至兩次或三次,視所欲達到的效果以及原本組織厚薄而定。另外就是自體脂肪的優點是微量的修飾改變,若要達到非常立體與效果非常卓著還是需要借助正規隆鼻手術用人工植入物與自體軟骨來達成目標。

另外一項限制就是鼻尖的修飾與變挺與拉長,最終還是要靠自體軟骨才能達到,自體脂肪注射只能稍微?高一些。若是原本是蓮霧鼻或獅子鼻者就必須考慮縮鼻頭手術了。

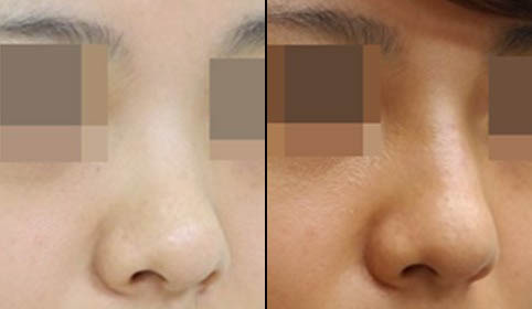
整型實例 -自體脂肪案例
自體脂肪案例1-1註:畢竟每個人有各人條件體質的差異,在恢復期與術後效果效果也會有個人差異。
自體脂肪案例1-2註:畢竟每個人有各人條件體質的差異,在恢復期與術後效果效果也會有個人差異。
自體脂肪案例1-3註:畢竟每個人有各人條件體質的差異,在恢復期與術後效果效果也會有個人差異。

 


 
台北市重慶南路一段13號6樓 / 電話:23885238 / 本網站僅提供相關資訊瀏覽,不為營利使用。
Copyright 2005, all rights reserved, 車參聖整形外科診所
尊重智慧財產權, 版權所有請勿抄襲, 本網站已委任專業法律顧問, 隨時保護此網站權益並且保留侵犯此版權之所有法律追訴權。